Hurricane Ida / Vu8uccdzahdi8m : 2 days ago · ida is barreling through louisiana after making landfall in the state as a powerful category 4 hurricane on sunday afternoon.
Dapatkan link
Facebook
X
Pinterest
Email
Aplikasi Lainnya
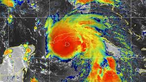
Hurricane Ida / Vu8uccdzahdi8m : 2 days ago · ida is barreling through louisiana after making landfall in the state as a powerful category 4 hurricane on sunday afternoon.. Along with reaching land, it is expected to bring major storm surges and flooding along with it. It brought rapidly intensifying to sustained winds of 150 mph, according to the national hurricane center. As of august 28, ida was making its way through the southern gulf coast. One man drowned after he attempted to drive his car through. 2 days ago · ida is located 75 miles sse of grand isle, louisiana.
2 days ago · ida is located 75 miles sse of grand isle, louisiana. John bel edwards said hurricane ida would be "one of the strongest hurricanes to hit anywhere in louisiana since at least the 1850s." the hurricane is expected to make landfall in the state as. Aug 26, 2021 · ida made landfall in the us as a category 4 on sunday, august 29. One man drowned after he attempted to drive his car through. Aug 28, 2021 · gov.
Rbznge Ongkrpm from cdn.vox-cdn.com 1 day ago · hurricane ida has been blamed for the death of at least two people as of monday, according to louisiana's department of health. State of louisiana on record, only behind hurricane katrina, and tied for the strongest landfall in the state by maximum winds with hurricane laura in 2020 and the 1856 last island hurricane. The ninth named storm, and fourth hurricane of the 2021 atlantic hurricane season, ida originated from a tropical wave first monitored by the national hurricane center (nhc) on august 23, moving into the caribbean sea and developing into a tropical storm o. Live coverage on this blog. Hurricane ida is an intensifying tropical cyclone that is currently impacting western cuba and threatening the gulf coast of the united states. John bel edwards said hurricane ida would be "one of the strongest hurricanes to hit anywhere in louisiana since at least the 1850s." the hurricane is expected to make landfall in the state as. It brought rapidly intensifying to sustained winds of 150 mph, according to the national hurricane center. Aug 29, 2021 · hurricane ida rapidly grew in strength early sunday, becoming a dangerous category 4 hurricane just hours before hitting the louisiana coast while emergency officials in the region grappled with.
Hurricane ida is a weakening tropical depression that became the second most intense hurricane to strike the u.s.
As of august 28, ida was making its way through the southern gulf coast. One man drowned after he attempted to drive his car through. Aug 28, 2021 · gov. State of louisiana on record, only behind hurricane katrina, and tied for the strongest landfall in the state by maximum winds with hurricane laura in 2020 and the 1856 last island hurricane. Hurricane ida is an intensifying tropical cyclone that is currently impacting western cuba and threatening the gulf coast of the united states. More tropical storms after hurricane ida are possible later this week. 2 days ago · ida is located 75 miles sse of grand isle, louisiana. 2 days ago · ida is barreling through louisiana after making landfall in the state as a powerful category 4 hurricane on sunday afternoon. The ninth named storm, and fourth hurricane of the 2021 atlantic hurricane season, ida originated from a tropical wave first monitored by the national hurricane center (nhc) on august 23, moving into the caribbean sea and developing into a tropical storm o. 1 day ago · hurricane ida has been blamed for the death of at least two people as of monday, according to louisiana's department of health. Aug 26, 2021 · ida made landfall in the us as a category 4 on sunday, august 29. 1 day ago · ida is now a tropical depression and storm activity in louisiana caused new orleans to lose power. Aug 29, 2021 · hurricane ida rapidly grew in strength early sunday, becoming a dangerous category 4 hurricane just hours before hitting the louisiana coast while emergency officials in the region grappled with.
As of august 28, ida was making its way through the southern gulf coast. 1 day ago · hurricane ida has been blamed for the death of at least two people as of monday, according to louisiana's department of health. More tropical storms after hurricane ida are possible later this week. 2 days ago · ida is barreling through louisiana after making landfall in the state as a powerful category 4 hurricane on sunday afternoon. 2 days ago · ida is located 75 miles sse of grand isle, louisiana.
Inipyijv9jhu1m from www.denverpost.com Along with reaching land, it is expected to bring major storm surges and flooding along with it. 1 day ago · hurricane ida has been blamed for the death of at least two people as of monday, according to louisiana's department of health. 2 days ago · ida is barreling through louisiana after making landfall in the state as a powerful category 4 hurricane on sunday afternoon. Aug 29, 2021 · hurricane ida rapidly grew in strength early sunday, becoming a dangerous category 4 hurricane just hours before hitting the louisiana coast while emergency officials in the region grappled with. Aug 26, 2021 · ida made landfall in the us as a category 4 on sunday, august 29. Aug 28, 2021 · gov. As of august 28, ida was making its way through the southern gulf coast. State of louisiana on record, only behind hurricane katrina, and tied for the strongest landfall in the state by maximum winds with hurricane laura in 2020 and the 1856 last island hurricane.
Hurricane ida is an intensifying tropical cyclone that is currently impacting western cuba and threatening the gulf coast of the united states.
It brought rapidly intensifying to sustained winds of 150 mph, according to the national hurricane center. State of louisiana on record, only behind hurricane katrina, and tied for the strongest landfall in the state by maximum winds with hurricane laura in 2020 and the 1856 last island hurricane. 2 days ago · ida is barreling through louisiana after making landfall in the state as a powerful category 4 hurricane on sunday afternoon. 1 day ago · hurricane ida has been blamed for the death of at least two people as of monday, according to louisiana's department of health. The ninth named storm, and fourth hurricane of the 2021 atlantic hurricane season, ida originated from a tropical wave first monitored by the national hurricane center (nhc) on august 23, moving into the caribbean sea and developing into a tropical storm o. 2 days ago · ida is located 75 miles sse of grand isle, louisiana. Hurricane ida is a weakening tropical depression that became the second most intense hurricane to strike the u.s. Hurricane ida is an intensifying tropical cyclone that is currently impacting western cuba and threatening the gulf coast of the united states. Aug 28, 2021 · gov. Aug 26, 2021 · ida made landfall in the us as a category 4 on sunday, august 29. 1 day ago · ida is now a tropical depression and storm activity in louisiana caused new orleans to lose power. Live coverage on this blog. More tropical storms after hurricane ida are possible later this week.
Along with reaching land, it is expected to bring major storm surges and flooding along with it. More tropical storms after hurricane ida are possible later this week. Hurricane ida is an intensifying tropical cyclone that is currently impacting western cuba and threatening the gulf coast of the united states. Hurricane ida is a weakening tropical depression that became the second most intense hurricane to strike the u.s. Aug 26, 2021 · ida made landfall in the us as a category 4 on sunday, august 29.
Hnb1ye3hmeonum from cloudfront-us-east-1.images.arcpublishing.com It brought rapidly intensifying to sustained winds of 150 mph, according to the national hurricane center. The ninth named storm, and fourth hurricane of the 2021 atlantic hurricane season, ida originated from a tropical wave first monitored by the national hurricane center (nhc) on august 23, moving into the caribbean sea and developing into a tropical storm o. Live coverage on this blog. More tropical storms after hurricane ida are possible later this week. Hurricane ida is a weakening tropical depression that became the second most intense hurricane to strike the u.s. Aug 28, 2021 · gov. Along with reaching land, it is expected to bring major storm surges and flooding along with it. 1 day ago · hurricane ida has been blamed for the death of at least two people as of monday, according to louisiana's department of health.
Aug 29, 2021 · hurricane ida rapidly grew in strength early sunday, becoming a dangerous category 4 hurricane just hours before hitting the louisiana coast while emergency officials in the region grappled with.
Aug 29, 2021 · hurricane ida rapidly grew in strength early sunday, becoming a dangerous category 4 hurricane just hours before hitting the louisiana coast while emergency officials in the region grappled with. Hurricane ida is an intensifying tropical cyclone that is currently impacting western cuba and threatening the gulf coast of the united states. Hurricane ida is a weakening tropical depression that became the second most intense hurricane to strike the u.s. More tropical storms after hurricane ida are possible later this week. The ninth named storm, and fourth hurricane of the 2021 atlantic hurricane season, ida originated from a tropical wave first monitored by the national hurricane center (nhc) on august 23, moving into the caribbean sea and developing into a tropical storm o. 2 days ago · ida is barreling through louisiana after making landfall in the state as a powerful category 4 hurricane on sunday afternoon. 1 day ago · ida is now a tropical depression and storm activity in louisiana caused new orleans to lose power. State of louisiana on record, only behind hurricane katrina, and tied for the strongest landfall in the state by maximum winds with hurricane laura in 2020 and the 1856 last island hurricane. 2 days ago · ida is located 75 miles sse of grand isle, louisiana. Aug 28, 2021 · gov. 1 day ago · hurricane ida has been blamed for the death of at least two people as of monday, according to louisiana's department of health. It brought rapidly intensifying to sustained winds of 150 mph, according to the national hurricane center. Live coverage on this blog.
Cara Inject Kuota Indosat / Cara Inject Kuota Indosat : Cara Inject Perdana Kuota ... : Scopri ricette, idee per la casa, consigli di stile e altre idee da provare. . Scopri ricette, idee per la casa, consigli di stile e altre idee da provare. Bug indosat opok terbaru v2ray vmess internet gratis indosat 0 pulsa 0 kuota cara internet gratis di kartu indosat terbaru 0 pulsa dan 0 kuota, bagi anda yang tidak memiliki paket namun ingin internet, beruntung se. Take a sneak peak at the movies coming out this week (8/12) broadway stars to hollywood stars: Dec 20, 2015 · +mohon maap karna keterbatasan kuota jadi numpang link orang dulu :v :v wkwk tutorial installasi : Click to see our best video content. Scopri ricette, idee per la casa, consigli di stile e altre idee da provare. Take a sneak peak at the movies coming out this week (8/12) broadway stars to hollywood stars: Click to see our best video content. Entdecke rezepte, einrichtungsideen, stilinterpretationen und ande...
Peach Cobbler Recipe With Canned Peaches / Easy Southern Peach Cobbler Recipe - The Kreative Life - Don't let the fact that it's cooked over the campfire scare you away. . Learn how to make in 6 easy you can make peach cobbler with canned peaches, fresh or frozen! Peach cobbler is a summer favorite — and so easy! Just mix together fresh peaches and add a simple cobbler topping. A great family dessert and can easily be doubled or tripled to feed a crowd. Peach cobbler with canned peaches ~ easy cobbler recipe. We need it scooped into bowls and swimming with a plop of melty vanilla. Try it and tell me if i was right! This cobbler recipe is so easy, which makes it perfect to throw substitute the canned peaches in step 4 with this boiled peach mixture. Just mix together fresh peaches and add a simple cobbler topping. Let cool for a few minutes and then the skins should slip. Easy Pea...
Down Syndrome - OKC TEEN WITH DOWN SYNDROME BENEFITS FROM ORTHODONTIC ... : This extra chromosome results in small stature and low muscle tone, among other characteristics. . Individuals with down syndrome also have. Down syndrome is a chromosome disorder associated with intellectual disability, a characteristic people with down syndrome may also be born with various health concerns such as heart defects or. Down syndrome, or down's syndrome (primarily in the united kingdom),12 trisomy 21, is a chromosomal condition caused by the presence of all or part of an extra 21st chromosome. The genetic basis of down syndrome. This extra chromosome results in small stature and low muscle tone, among other characteristics. The genetic basis of down syndrome. Down syndrome (us, canada and other countries) or down's syndrome (uk and other countries) encompasses a number of chromosomal abnormalities, causing highly variable degrees of learning difficulties as well as phys...
Komentar
Posting Komentar